Traffic Flow Maps
The first automobile drove through Seattle in the summer of 1900. By the 1920s, cars were plentiful in the city and numbers were growing fast. In 1924, the city installed its first traffic light on a trial basis at what is now Fourth Avenue South and South Jackson Street in an effort to prevent rush-hour gridlock and traffic accidents.
Traffic issues fell under the jurisdiction of the Department of Streets and Sewers during this time. "Vehicular traffic has shown phenominal [sic] increase," states the department's 1923 annual report, citing license numbers rising from 17,710 in 1916 to 81,700 in 1923.
Image 38282, Seattle Municipal Archives
Dept. vehicles and personnel, 1912
Image 5862, Seattle Municipal Archives
Image 12405, Seattle Municipal Archives
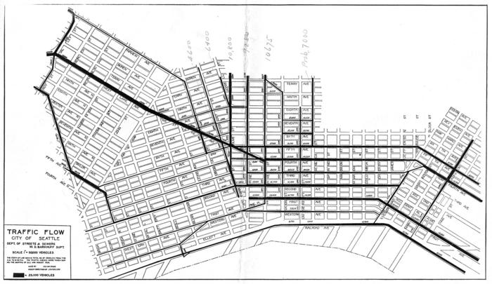
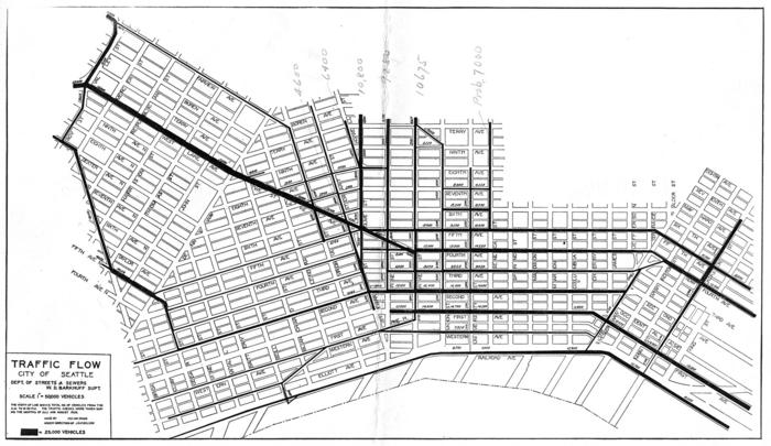
Another way the department quantified this increase was by measuring the volume of traffic on the city's streets. Beginning in 1915, the city conducted regular traffic checks at various locations throughout the city to monitor and study how traffic "behaved" as it flowed from, to, and through Seattle. The data collected was illustrated using traffic flow maps. The Streets and Sewers annual report from 1925 includes the first of two traffic flow maps, one giving a birds-eye view of the city (including a graph showing the dramatic increase of vehicles in the city since 1915), and the other focusing on the central business district. Thick lines on each map indicate streets with the heaviest volume of traffic.
Map 2045, Seattle Municipal Archives
Map 2046, Seattle Municipal Archives
showing daily flow of vehicular traffic
Map 2044, Seattle Municipal Archives
Traffic check points covered over 200 locations throughout the city by 1926. Data continued to be monitored and illustrated in traffic flow maps on a regular basis. The maps informed multiple city efforts related to cars and traffic, such as the placement and timing of traffic signals, planning for the improvement of roads and the development of thoroughfares and arterial routes, accident prevention, parking regulations, and the design of directional signs. Noting that private business also had an interest in traffic data, Streets and Sewers had a plate made of the citywide traffic flow map and printed 300-500 copies in small size. "It has been in great demand by business men, investors, real estate operators, oil companies, officials from outside the city and many others," states the 1928 annual report.
The developing patterns of traffic flow in Seattle were also a key point of interest for the city's first zoning commission, formed in 1920. The commission was tasked with surveying the city in order to divide it into districts or zones and recommend land use in those areas. Observing how traffic flowed through the city spoke to both existing conditions and potential future concerns. The Engineering Department worked with the commission to produce a map of the city showing the daily flow of vehicular traffic, with bold dark lines showing the most heavily used streets.
With the recognition of growing traffic engineering needs, the Office of Traffic Engineer was established within the Streets and Sewers Department in 1930. The number of cars on the streets continued to grow rapidly and safety for both drivers and pedestrians became a primary concern. During 1934, Seattle recorded 121 fatalities due to car accidents in the city, giving it the highest rate of death among other U.S. cities of similar population size that year.
Image 8292, Seattle Municipal Archives
Image 50386, Seattle Municipal Archives
In 1935, seeing the numbers continue to climb, a federally-funded WPA project was initiated to conduct a city-wide traffic survey examining the causes and locations of accidents. The survey was also intended to observe, study, and collect statistics related to vehicle speed, observance of traffic signals, parking patterns, and traffic volume.
In 1936, the Department of Streets and Sewers was abolished by an amendment to the city charter and most of its functions absorbed by the Engineering Department, including the Office of the Traffic Engineer.
Traffic flow studies and maps continued to be produced in the decades following. By 1944, traffic counts were taken both by hand and by portable automatic counters, increasing the number of counting locations.
Map 3267, Seattle Municipal Archives
Map 3268, Seattle Municipal Archives
Map 2064, Seattle Municipal Archives
When the functions of the Engineering Department were reorganized in 1997, traffic engineering and transportation were consolidated in the newly formed Seattle Transportation Department. Although the methods have changed, studies of traffic patterns and flow continue to inform the work of planners throughout the city.



